下载或打开 医联APP 查看完整评论
立即下载
打开APP
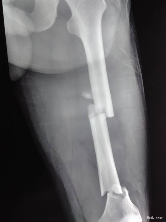
患者自诉于2014-6-1中午骑摩托车被汽车撞翻,伤后昏迷,被肇事司机寄送到当地医院,拍片检查,诊断为:颅脑损伤,脾破裂,左股骨骨折,左胫骨平台骨折。给予保守治疗,并转往盖州市中心医院,急诊下行脾切除术,右下肢给予石膏固定,待患者病情稳定后建议转往上级医院。现患者为求进一步诊治来我院就诊,以“左股骨骨折,左胫骨平台骨折,颅脑损伤,脾切除术后”为主要诊断收入我科。患者伤来无恶心呕吐,腹痛腹胀,胸闷心悸等特殊不适,饮食差、睡眠可,小便可,未大便,体重无明显变化。


左下肢石膏固定中,抬高位,可见左下肢肿胀,左下肢压痛,骨擦音(+),骨擦感(+),双下肢远端血运可,足背动脉可触及搏动,左下肢运动感觉消失。双上肢及右下肢感觉正常,肌力减弱,肱二头肌肌力(L0,R3),肱三头肌肌力(L0,R3),双手握力(L0,R3),髂腰肌肌力(L0,R3),股四头肌肌力(L0,R3),足趾背伸肌力(L0,R4),跖屈肌力(L0,R4)。
诊断:左股骨骨折,左胫骨平台骨折 双侧胸腔积液 脑出血 脾切除术后 患者入院后见患肢肿胀明显,给予患肢抬高位,冷敷,甘露醇消肿等对症治疗,带患肢出现褶皱试验阳性后,全麻下行右股骨干骨折闭合复位髓内针固定术;左胫骨平台骨折切口复位钢板内固定术,术后患者肿胀明显,给予抗炎,消肿,冷敷,患肢抬高等对症治疗。患者每天换药观察切口愈合情况,无红肿及渗出,待伤口14天后予以拆线治疗,予以出院,给予康复处方。


